Notícias

Furacão Melissa chega a Cuba depois de devastar a Jamaica

Ventos devem chegar a 195 km/h; Cerca de 735 mil pessoas tiveram que sair de casa no leste do país

Furacão Melissa chega a Cuba depois de devastar a Jamaica
Foto: Reprodução|G1

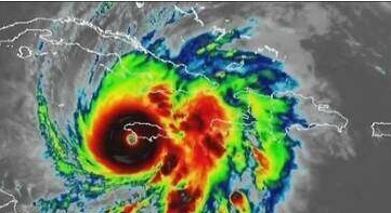
Um mapa meteorológico mostrou que o Furacão Melissa atingiu Cuba no início da quarta-feira (29), horas depois de causar devastação na vizinha Jamaica como a tempestade mais forte já registrada a atingir o país.

Melissa atingiu a costa sul do leste de Cuba com ventos máximos sustentados de 195 km/h, informou o Centro Nacional de Furacões (NHC) dos EUA.

Cerca de 735 mil pessoas foram evacuadas de suas casas no leste de Cuba com a aproximação da tempestade, disseram as autoridades. O presidente cubano, Miguel Diaz-Canel, alertou na terça-feira que a tempestade causaria "danos significativos" e pediu que as pessoas obedecessem às ordens de evacuação.

Melissa havia enfraquecido para um ainda perigoso furacão de Categoria 3 depois de atingir a costa perto da cidade de New Hope, no sudoeste da Jamaica, na terça-feira (28 de outubro), com ventos sustentados de até 298 km/h (185 mph), de acordo com o serviço de previsão do tempo sediado em Miami.

As tempestades de Categoria 5, o nível mais alto na escala de furacões Saffir-Simpson, apresentam ventos de 252 km/h (157 mph) ou mais.

SBTNEWS

----------------------
Receba GRATUITAMENTE nossas NOTÍCIAS! CLIQUE AQUI
----------------------

Envie sua sugestão de conteúdo para a redação:
Whatsapp Business PORTAL DE BELTRÃO NOTÍCIAS (46) 99902.0092 / (46) 2601.0898

Cotações

Clima

Sexta
Máxima 33º - Mínima 20º
Períodos nublados

Sábado
Máxima 34º - Mínima 20º
Períodos nublados com aguaceiros e tempestades

Domingo
Máxima 30º - Mínima 18º
Céu nublado com aguaceiros e tempestades

Segunda
Máxima 30º - Mínima 18º
Períodos nublados com chuva fraca

Terça
Máxima 31º - Mínima 19º
Períodos nublados com chuva fraca

Sobre os cookies: usamos cookies para personalizar anúncios e melhorar a sua experiência no site. Ao continuar navegando, você concorda com a nossa Política de Privacidade.